Economia

Gelate nel Piacentino, Coldiretti: “Colpiti soprattutto i frutteti”

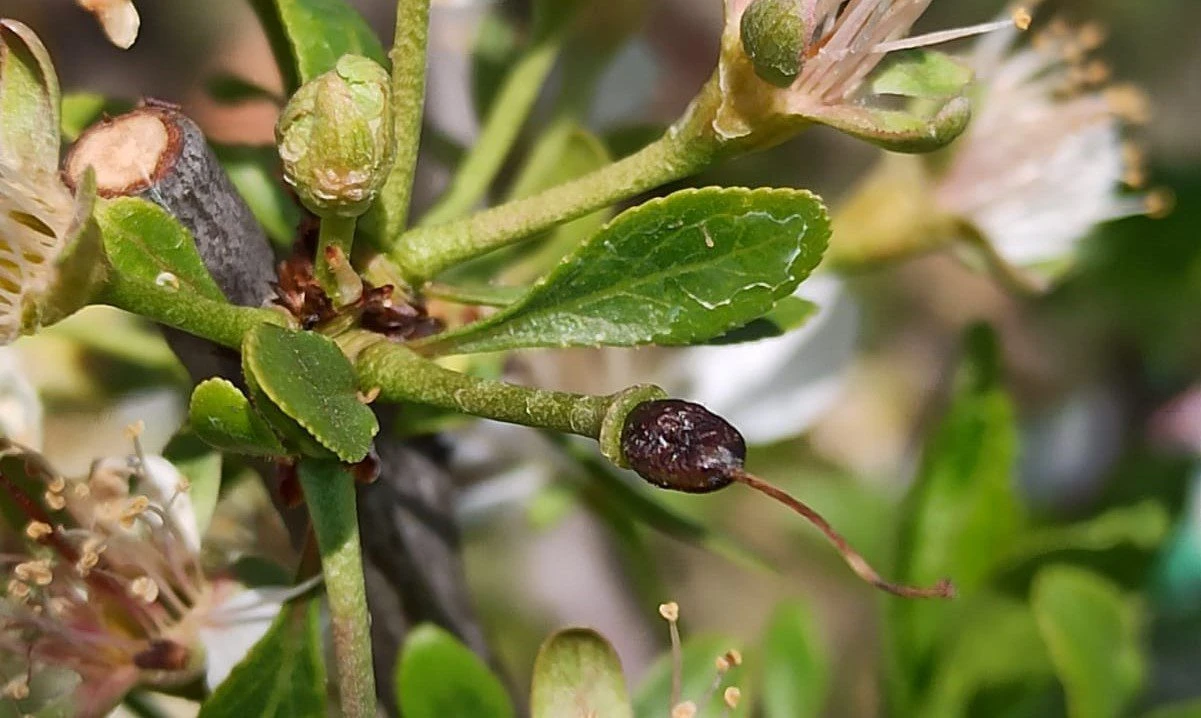
Non solo la siccità. Anche le temperature scese sotto lo zero danneggiano le colture. Nel Piacentino – segnala Coldiretti- i danni sono soprattutto nella Bassa, con i frutteti colpiti dalle gelate.

Ciliegie, albicocche e pesche – spiegano i produttori della zona di Villanova – sono tutte in post fioritura, le basse temperature registrate in queste ultime due mattine hanno danneggiato soprattutto la parte inferiore della pianta. Impossibile stimare già l’entità del danno, ma sicuramente il crollo delle minime determinerà delle perdite di prodotto. I danni da gelata – precisa Coldiretti Piacenza – non incidono sulla qualità delle produzioni, che resta alta, ma sulle quantità.

Danni ingenti

Pesantissime le prime stime in un frutteto alle porte della città: “Qui le gelate – afferma Coldiretti– hanno distrutto la totalità delle drupacee, un danno senza precedenti”.

Stiamo assistendo ad una tenaglia climatica tra freddo e siccità che – sottolinea la Coldiretti – si abbatte su una natura in tilt con le coltivazioni che si erano risvegliate prima del solito ingannate dalle temperature anomale, con il rischio adesso di perdere parte dei raccolti di un anno di lavoro.

Nel Piacentino si segnalano anche danni da gelate sui vigneti in particolare nelle zone di Ziano in  Val Tidone e nella zona di Lugagnano. Il monitoraggio prosegue, per capire l’entità dei danni.

I raccolti – commenta il direttore di Coldiretti Piacenza Roberto Gallizioli– sono sempre più esposti alle conseguenze dei cambiamenti climatici che nell’ultimo anno hanno causato danni per oltre 6 miliardi all’agricoltura italiana. L’eccezionalità degli eventi atmosferici è ormai la norma, con una tendenza alla tropicalizzazione che – conclude la Coldiretti – si manifesta con una più elevata frequenza di manifestazioni violente, sfasamenti stagionali, precipitazioni brevi ed intense ed il rapido passaggio dal sole al maltempo, con sbalzi termici significativi che compromettono le coltivazioni nei campi con perdite della produzione agricola nazionale e danni alle strutture e alle infrastrutture nelle campagne.

Iscriviti per rimanere aggiornato!

Compilando i campi seguenti potrai ricevere le notizie direttamente sulla tua mail. Per garantire che tu riceva solo le informazioni più rilevanti, ti chiediamo gentilmente di mantenere aggiornati i tuoi dati.

Share

Articoli recenti

Torna la Rassegna gastronomica dell’asparago piacentino, un mese di esperienze di gusto dal 10 aprile – AUDIO

Con la presentazione tenuta questa mattina nella sede dell'Unione Commercianti ha ufficialmente preso il via…

20 minuti fa

Baseball – Le giovanili del Piacenza ai blocchi di partenza

Il prossimo fine settimana segnerà l’inizio ufficiale di tutta l’attività agonistica del baseball, inclusi i…

1 ora fa

Atletica – Simone Boiocchi Protagonista ai Tricolori FISDIR di Ancona

Il Palaindoor di Ancona ha ospitato, nello scorso weekend del 21 e 22 marzo 2026,…

1 ora fa

Nuoto – Margherita Zora e Greta Labati sul podio ai regionaliI

C’è anche il contributo degli atleti più giovani all’ottima stagione agonistica disputata finora dalla squadra…

1 ora fa

Volley – Gas Sales Piacenza, giovedì al Palabanca Gara 2 delle semifinali Scudetto

Gas Sales Piacenza sarà impegnata giovedì 9 aprile (ore 20.30) al PalabancaSport per affrontare Sir Susa Scai Perugia…

1 ora fa

Karate – Grande successo di Piacenza al Trofeo interregionale Oipes di Gerenzano

Ancora un eccellente risultato agonistico per il Karate Piacenza Farnesiana, guidato dal Maestro Gian Luigi…

2 ore fa